日本一飞机穿越台风眼拍下震撼画面
日本一架飞机成功穿越台风眼,拍摄到了令人震撼的画面,这一事件不仅展示了飞行员高超的技术,也为我们揭示了台风中心的神秘面纱。
事件背景
随着夏季的到来,太平洋地区的台风活动愈发频繁,日本因其地理位置的特殊,时常面临台风的威胁,这次,一架日本航空公司的飞机在执行飞行任务时,意外遇到了一场强大的台风,面对这一突如其来的天气变化,飞行员凭借丰富的经验和精湛的技术,决定穿越台风眼,这一决策不仅确保了航班的顺利抵达,还为我们带来了前所未有的震撼画面。
飞机穿越台风眼的经历
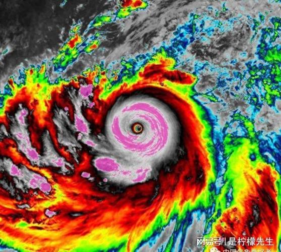
在穿越台风眼的过程中,飞机经历了剧烈的风暴和湍流,飞行员通过先进的导航系统和精密的仪器,成功找到了相对平稳的飞行路径,随着飞机逐渐深入台风中心,他们拍摄到了令人难以置信的画面,台风眼中的天空晴朗无云,阳光透过云层,照亮了整个机舱,这一景象与外面暴风雨的狂暴形成了鲜明对比。
震撼画面的展示
从拍摄的画面来看,台风眼呈现出一种宁静而神秘的美,晴朗的天空中,阳光照亮了周围的云层,形成了一幅壮观的景象,还能清晰地看到气流的变化和云层的翻滚,这些画面展示了大自然的神奇和力量,也让我们对自然界的奥秘有了更深刻的认识。
专家解读与评论
气象专家表示,飞机穿越台风眼并拍摄画面是极为罕见的事件,这不仅需要飞行员具备高超的技术和丰富的经验,还需要对天气情况有准确的判断,这一事件也为我们提供了研究台风的重要资料,通过分析这些画面,我们可以更深入地了解台风的形成和演变过程。
意义与启示
这次事件不仅展示了飞行员的高超技术,也体现了人类对自然界的探索精神,通过拍摄到的震撼画面,我们不仅看到了大自然的神奇和力量,还更加深刻地认识到了人与自然的和谐共生的重要性,这一事件也提醒我们,在面对自然灾害时,人类需要更加谨慎和勇敢,以科技的力量去探索和保护我们的地球。
日本一飞机穿越台风眼并拍下震撼画面,这一事件展示了飞行员的高超技术和大自然的神奇力量,通过这一事件,我们不禁对自然界的奥秘有了更深刻的认识,也让我们更加珍惜和保护环境,这一事件也提醒我们,在面对自然灾害时,人类需要更加勇敢和谨慎,以科技的力量去探索和保护我们的地球。
发表评论